61.00
Acres
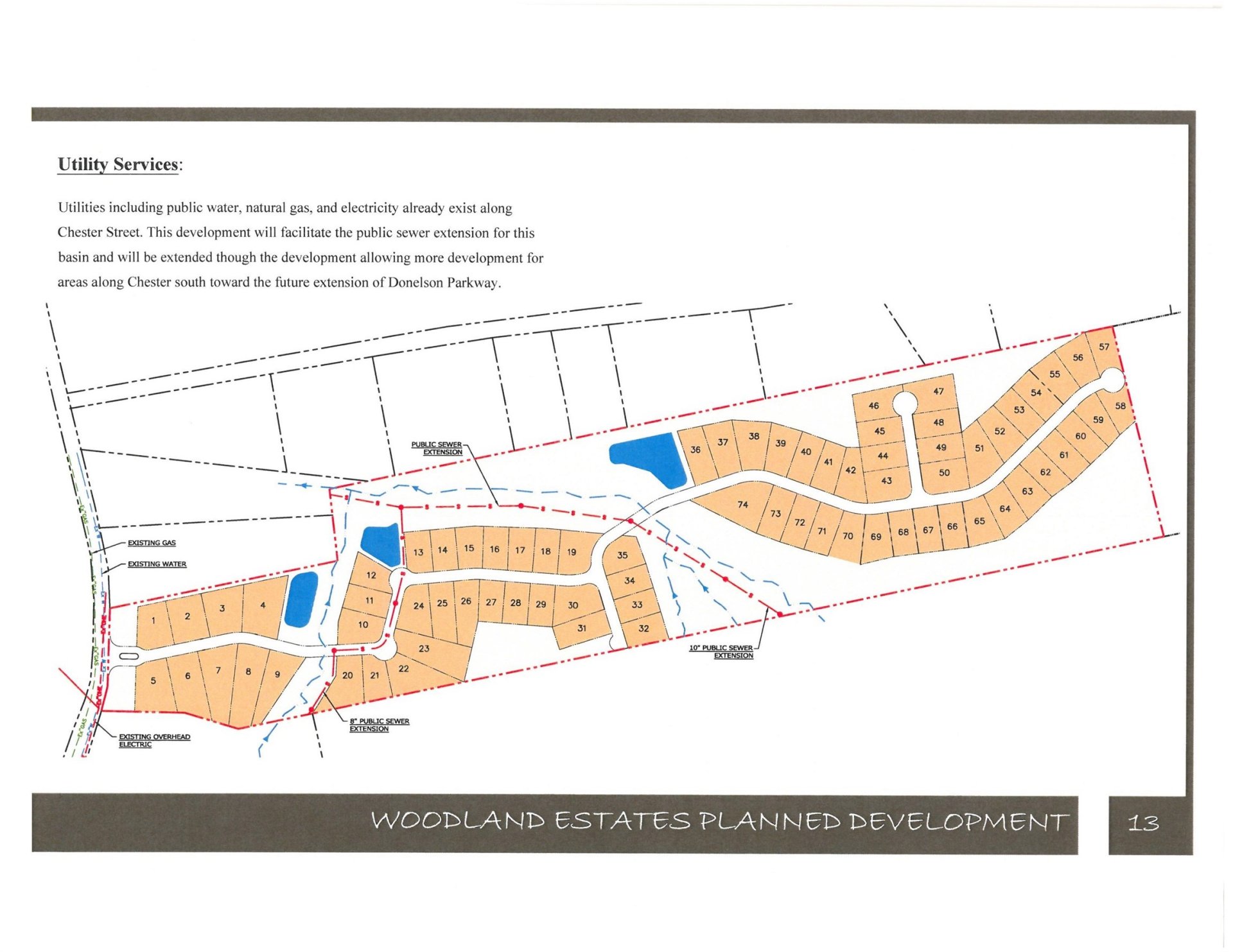
61 wooded acres. All utilities. Build your dream home or family compound. Property has been approved for a 74 lot subdivision. Great Arlington Location. You got so see it to believe it. No sign on property.
Features
Exterior & Lot
| Lot Dimensions | 257X4908 |
Neighborhood
| Directions | I-40 to Airline Rd. (Exit 25). Go North (left) to Milton Wilson Rd. Go Right (East) to chester (right on chester) Go under the interstate (I-40) Property will be on the Left (East side) of Chester just South of Pinkley St. |
Utilities
| Utilities | Public Water, Electricity, Public Sewer, Natural Gas |
Financial
| Annual City Tax | $2,106 |
| Annual County Tax | $5,577 |
1 / 5
CHESTER

